Baugrundstück in familienfreundlicher Wohnlage von Greven

Baugrundstück

48268 Greven

ca. 600 m²

Kaufpreis: € 237.000 zzgl. 5,95 % Käufercourtage

Information:

Objektnummer:                                2648
Objektart:                                          Baugrundstück
Lage:                                                 gesetztes Wohngebiet in Greven
Grundstücksfläche ca.:                  ca. 600 m² 
Kaufpreis/Courtage:                      237.000 € zzgl. 5,95% Käufercourtage


Objektbeschreibung:

Baugrundstück in Greven – direkt an der Grundschule

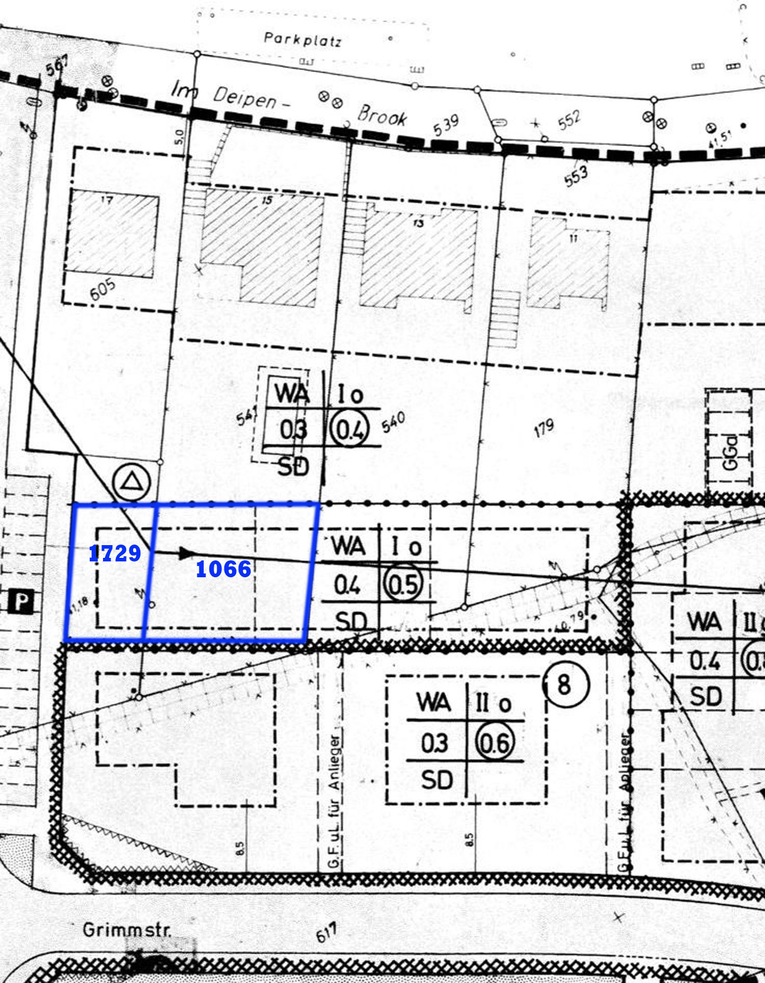
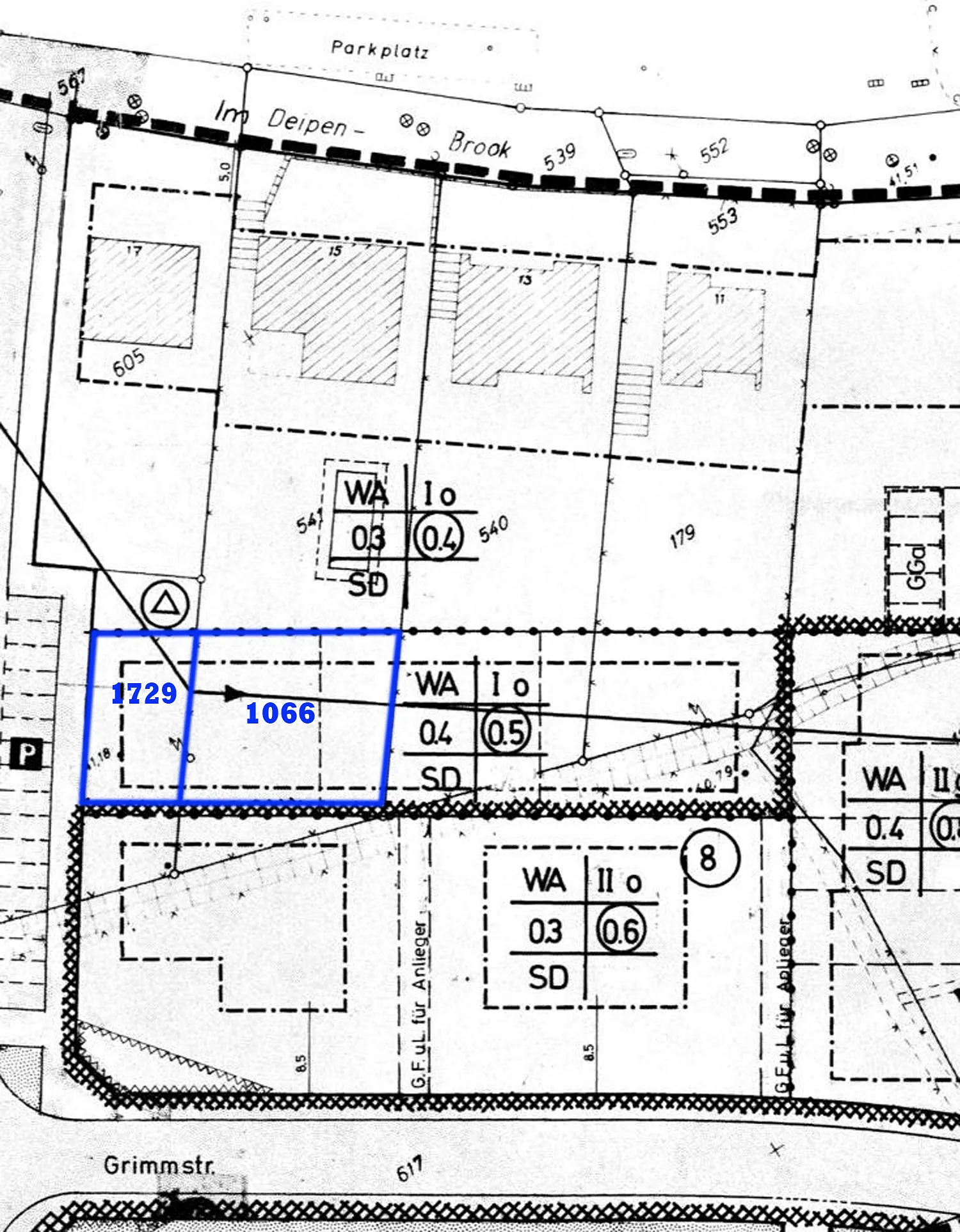
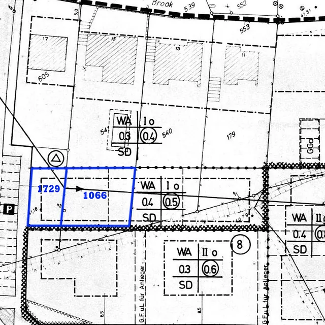
Dieses attraktive Baugrundstück ( Flur 31, Flurstücke 1729 und 1066) liegt im beliebten Wohngebiet Im Deipen Brook in Greven – praktisch und familienfreundlich zugleich. Die Grundschule ist direkt neben dem Grundstück, sodass Kinder morgens nur wenige Schritte bis zum Unterricht haben.

Laut Bebauungsplan ist folgende Bebauung möglich:

Allgemeines Wohngebiet (WA)
Offene Bauweise (Einzel- oder Doppelhaus)
1 Vollgeschoss (mit ausbaufähigem Dach möglich)
GRZ 0,4 / GFZ 0,5:
 Grundflächenzahl (GRZ): 0,4
→ Es dürfen max. 40 % der Grundstücksfläche überbaut werden.
Beispiel: Bei 600 m² Grundstück = max. 240 m² überbaubare Fläche.

Geschossflächenzahl (GFZ): 0,5
→ Das Verhältnis der gesamten Geschossfläche zur Grundstücksfläche darf 0,5 betragen.

Satteldach vorgeschrieben
Das Grundstück bietet beste Voraussetzungen für den Bau eines modernen Einfamilien- oder Doppelhauses mit Garten. Die Zuwegung erfolgt über die Straße „Im Deipen Brook“, wo aktuell der Umbau der Parkplätze zur privaten Zufahrt vorgesehen ist. Das wurde mündlich schon vorab mit dem Bauamt besprochen.
Die Erschließung ist noch herzustellen, die Anschlüsse an die Ver- und Entsorgungsleitungen können über diese Zuwegung erfolgen.

Ein ideales Zuhause für Familien, die kurze Wege und eine gute Nachbarschaft gleichermaßen schätzen.

Exposè
0
Feed